Bodegas Y Naves Industriales En Renta En Zona Industrial, San Pedro Garza García, Nuevo León
ID 120814
Zona Industrial, San Pedro Garza García
   $ 1,000,000 MXN

Colonia Zona Industrial
San Pedro Garza García, Nuevo León


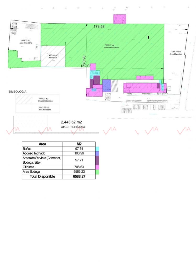
Nave con oficinas en renta en San Pedro Garza Garcia, Blvd. Díaz Ordaz, KM 3.33
Área Rentable 9,031.79 m2, Área de Maniobras 2,443.52 m2, Área de Construcción 6,588.27 m2
En excelente ubicación a 100 metros de la avenida principal, ideal para centro de distribución, el área de maniobras esta tachada

0 Recamaras
0 Baños completos
6 Medios baños
1 Plantas
30 Estacionamientos
Terreno 6588 m2
Construcción: 708 m2
  Luz
  Agua
CONTACTA AL ASESOR

Pilar Vargas Crosswell


(81) 1377-4746

ENVÍA UN MENSAJE AL ASESOR



  
 
¡Llamar! Mensaje